埋蔵された物資(バージョン0.4)
概略
【全155ヵ所+自陣の初期町分】(ラマン5ヵ所・ミスラス4ヵ所・クリムゾン4ヵ所)
・地面に埋められた隠しスタッシュを物色することができる
・見付ける目印は「工事用一輪車(通称ネコ)」「立てられたスコップ」「ブルーシート」で、あと「とても大きな岩」や「壁に描かれたグラフィティ」「不自然な枯れ木」もある
・「データ」→「探索」の、各エリアの「シークレット」→「隠し備蓄品」で全数と自分が発見した(蓋を開けた)個数を確認することができる
・他陣営の初期町の隠しスタッシュは上記のデータにはカウントされない
初期町
【5ヵ所(ファラン)】
・204 170
場所:ベースキャンプ近くの「空の邸宅」の南西、小川の橋手前のベンチと一輪車の間、大きさは2×6マス



※地図画像はラマン陣営の場合
・204 170
場所:ベースキャンプ近くの「古いキャ」のすぐ南、大きな岩の横に立て掛けられたスコップの横、大きさは2×6マス



※地図画像はラマン陣営の場合
・203 167
場所:ベースキャンプ近くのレストランの裏にある「工事現場」の角、ドラム缶とスコップの横、大きさは2×6マス



※地図画像はラマン陣営の場合
・197 168
場所:「ノンブー池の南のほとり、ドラム缶と丸太の間、大きさは2×6マス



※地図画像はラマン陣営の場合
・209 163
場所:「人里離れた農家」の建物の裏、シートと一輪車があるところの青いドラム缶の中、大きさは2×6マス ※ただ4月17日時点で反応はしますが開けることはできませんでした



※地図画像はラマン陣営の場合
【4ヵ所(ナム・タベン)】
・173 125
場所:戦闘拠点ワイルドキャットの北、畑の中の小屋と壊れた櫓があり、その櫓とシートの間、大きさは2×6マス ※画像はラマン陣営のためLZブラボー3は表示無しです



※地図画像はラマン陣営の場合
【4ヵ所(キム・ボンサ)】
ファラン飛行場
【16ヵ所】
場所:郊外の格納庫の北西、道の脇にある壊れた櫓とシートの間



・183 158
場所:飛行場外周の北東角、ブロック塀とシートの間



・182 159
場所:「ファラン飛行場」の少し北、二つある小屋の西側の小屋中のシート横



・180 160
場所:「道路沿いの小屋」の裏のシート横



・182 161
場所:「古い道具小屋」の西、ジャングルの中にある壊れた櫓と一輪車やシートの間



・180 162
場所:戦闘拠点トマホークの東、「路上避難所」の建物裏のシートの横



・176 158
場所:「人里離れた格納庫」の南西、田んぼの農道の脇に積まれた木材横の潰れた櫓の下



・172 158
場所:LZホテル2の北東、「野外避難所」の小屋とシートの間



・173 155
場所:LZホテル2の東南、水田の奥の「人里離れた避難所」の小屋横の大きな甕の下



・170 165
場所:LZホテル2の南西、「孤立した農場」の倉庫横の大きな甕や一輪車の後ろ



・186 159
場所:飛行場の東の川沿いにある壊れた櫓とシートの間



・183 154
場所:LZゴルフ2の南西、川沿いに1本立つ木の下で一輪車の横



・184 165
場所:「ナシェン農地」の集落の壁沿いに積まれた材木とシートの間



・191 161
場所:LZパパ1の東、「道路沿いの道具小屋」の小屋の裏にある一輪車とシートの間



・194 167
場所:LZアルファ1の北西、「人里離れた家」の右側倉庫の裏にあるシート横、大きさは2✕6マス



・194 162
場所:「クアニレストラン」の南西、道沿いにある壊れた櫓とシートの間、大きさは2✕6マス



バンパ
【15ヵ所】
・205 135
場所:バンパの南門の東南、カルトの壁画がある小屋の中のシート横



・203 138
場所:「祈りの家」の建物裏、壁とシートの間



・207 136
場所:バンパの海側、突き出た半島の先端にある櫓とシートの横/p>



・207 138
場所:バンパの北東、「小型貯水塔」にある大きい甕とシートの間



・203 141
場所:LZインディア3に向かう山道の脇にある壊れた櫓とシートの間



・196 146
場所:「襲われたUNLRAのコンボイ」の南、田んぼの角にあるリヤカーとシートの間



・205 153
場所:「まき小屋」の裏のドラム缶とシートの間



・195 143
場所:「湖畔避難所」の横、ハシゴとシートの間



・191 141
場所:「崩れかけた避難所」の崩れた小屋と一輪車の間



・199 140
場所:LZインディア3の南西、畑と森の境目にある積まれた木材とシートの間



・198 156
場所:LZアルファ3の南、川沿いの「廃小屋」の横のシートとスコップの間



・209 156
場所:戦闘拠点テンペストの東、「湖畔農地」の東の資材置き場裏にあるシート横



ブルーラグーン
【21ヵ所】
・203 117
場所:ブルラグ内を流れてる小川のすぐ脇にある櫓の横



・204 118
場所:ブルラグ入口近くの「工事現場」の西側壁と材木の間



・205 116
場所:ブルラグの東、山の絶壁近くにある壊れた櫓の裏のシートと一輪車の間 ※ただ4月17日時点で反応はしますが開けることはできませんでした



・201 120
場所:LZキロ3の北、森の中の「森の小屋」の横の青いドラム缶とシートの間



・202 121
場所:LZキロ3の西、森の中の「古い壕」の横の壊れたパレットの下



・203 122
場所:LZキロ3の西、道路沿いの「人里離れた農家」の裏手のスコップとバケツの間



・188 127
場所:「アマチュア無線局」の裏の雨水タンクの下で一輪車の横



・188 131
場所:LZジュリエット4の西の崖の上、「荒らされた観光客避難所」の展望台手前の一輪車の下



・194 124
場所:LZジュリエット2の南、川沿いの畑の奥にある壊れたリヤカーの下



・198 117
場所:「ボサレン農場」のすぐ北の小屋のスコップの横



・192 122
場所:「バン・カムペット」の北西、貯水タンクの横にある建物とシートの間



・193 121
場所:「バン・カムペット」の東側の小屋の壁とスコップの下



・187 124
場所:「道路沿いの小屋」の北、池の横にある大きな岩と櫓の間



・183 127
場所:「カホク自動車修理所」のすぐ北東、大きく突き出た岩の下でシートと一輪車の横



・178 130
場所:「ナトン農場」のすぐ北、二つの池の間にある壊れた櫓と一輪車の間



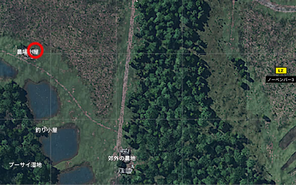
・191 119
場所:LZノーベンバー3の西、湿地横の「農場小屋」の裏のスコップとシートの間



・175 130
場所:「プーアルンレストラン」の北東、「人里離れた避難所」にある積まれた丸太とシートの間



・179 120
場所:「道路沿いの小屋」の北側の木箱とリヤカーとシートの間



・179 119
場所:コーンワン村の「小市場」の南西、田んぼの横にある小屋のシートの横、大きさは2×6マス



・179 116
場所:コーンワン村の南西、池の脇にある「人里離れた家」の壁とシートの間、大きさは2×6マス



・179 124
場所:「ヴォン池」の北にある「湖畔避難所」の裏のグラフィティとシートの間、大きさは2×6マス ※画像はラマン陣営のためLZノーベンバー1は表示無しです



YBL-1
【28ヵ所】
・134 126
場所:マップ西端の「ドンヒエン道」への道の脇にある2つの墓石の裏、大きさは5×9マス



・146 120
場所:LZリマ2の西、「伐採場」にある積まれた丸太とシートの間



・144 119
場所:YBLの南東、ジャングルの中の「湖畔避難所」のすぐ南にある壊れた櫓とバケツの間



・141 122
場所:「YBL-1」の西にある秘密の入口(ハッチの穴)から西に進んだ所にある壊れた櫓と一輪車の間



・137 120
場所:「YBL-1西」へ向かう途中、燃料タンクの横にある小屋と一輪車の間



・138 119
場所:「YBL-1西」の南側、外周の外に小道があってその道沿いにある壊れた櫓と一輪車の間



・151 124
場所:戦闘拠点ナイトの東、田んぼの中道の東端にある壊れた櫓と一輪車の間



・150 120
場所:「バン・ノーン」の北側で墜落したヘリコプターの西、ブルーシートが掛けられている壊れた小屋の横



・151 120
場所:「バン・ノーン」の北側で墜落したヘリコプターの南、ブルーシートが掛けられている壊れた小屋の下



・149 119
場所:「バン・ノーン」の中央あたりの建物がある西側、ブルーシートが掛けられている壊れた小屋の前



・149 117
場所:「隠されたケシ畑」の建物の裏の木製の台とスコップの間



・157 128
場所:LZマイク2の北、「路上避難所」の積まれた木材の裏の一輪車の横



・151 128
場所:「野外避難所」の積まれた木材とシートの間



・153 134
場所:LZマイク4の北、「キャンプ場」の建物の軒下の角



・157 133
場所:「まき小屋」の小屋と一輪車の間の板の下



・161 131
場所:「川沿いの小屋」の東、壊れた櫓と木材とシートの間



・166 130
場所:「貯水塔」のフェンス内の一輪車の横のシートとスコップの間



・170 127
場所:「気球墜落現場」の東南、小屋と一輪車とシートの間



・159 124
場所:「バンサク」の中央あたりの倉庫横のシートとの間



・160 125
場所:「バンサク」の北の川向こう、大きな岩に立て掛けられたスコップと一輪車の間



・156 121
場所:「チャンタボン農場」の木材置き場にある一輪車と木材の間



・163 124
場所:道沿いの「野外避難所」の北西、森の中の大きな岩とシートの間



・169 131
場所:「ナムライ湖」の南側湖畔の丸太がある所、壊れた櫓とシートの間



・153 117
場所:LZマイク3の南、「人里離れた家」の裏にあるリヤカーの下



・156 118
場所:LZマイク3の東南、小川沿いにある櫓と一輪車の間 ※4月24日時点では判定がズレていて手前のシートを見る感じです



・160 118
場所:ティム・タベン湖の西にある「郊外の農地」の高床式の倉庫内のリヤカーとランプの間



・163 119
場所:戦闘拠点ベルファストの西、「ティム・タベン湖」の東にある壊れた小屋と一輪車の間、大きさは2×6マス



・163 116
場所:「ナム・タベン展望台」の東の下、とても大きな岩の脇にあるバケツとシートの間、大きさは2×6マス



製材所
【25ヵ所】
・145 146
場所:「プーサイ村」の北東、建物の裏のシートと一輪車の横、大きさは5×9マス



・138 145
場所:製材所の木材置き場側、北側のトラクターや木材やドラム缶があるところの一輪車の横



・141 145
場所:「釣り小屋」の建物の横、一輪車とシートの間 ※4月16日時点では判定がズレていて手前のシートを見る感じです



・140 146
場所:LZエコー3の南の山道から登り、その崖の西側先端にある1本の枯れ木の根本



・144 145
場所:「プーサイ村」へと続く道の途中、「展望台」正面の岩とスコップの横



・144 145
場所:「プーサイ村」の南、材木が掛かった岩の後ろにある一輪車の横



・147 150
場所:「風力タービン」の南側建物の裏、立て掛けられたパレットとシートの間



・142 150
場所:LZエコー3の北、風力タービンへ向かう道路の脇の木材と一輪車の間



・130 151
場所:「LLAキャンプ・セリファブ」の中央あたり、建物の横のドラム缶の後ろでスコップの下



・130 150
場所:「LLAキャンプ・セリファブ」の外周の東側、崖の横のスコップとシートの間



・130 150
場所:「LLAキャンプ・セリファブ」の外周の西側、崖の横のスコップとシートの間



・134 146
場所:「ZN209墜落現場」の東南、山道沿いの積まれた木材の横にある一輪車とシートの間



・141 138
場所:「LAF電波塔」へと続く山道の脇、壊れた櫓と一輪車の間



・135 136
場所:LZデルタ4の北、「古い小屋」と「ボロボロの家」の間にある建物の裏のリヤカーの下



・138 129
場所:LZデルタ3の南、畑の角にある壊れたリヤカーと一輪車の間



・131 136
場所:LZデルタ4の北西、広い畑の北西の角にある積まれた木材と木の間



・133 129
場所:LZデルタ3の西、「カムハオ米倉庫」の南にある道路沿いの水道橋の橋脚の間



・131 156
場所:道路沿いにあるトウモロコシ畑の迷路の中心、そこにある的の板の下



・128 155
場所:「バン・カンタオ」の東、道路沿いにある建物の横で青いドラム缶と一輪車の間



・125 153
場所:「バン・カンタオ」の南西、マップ最西端にある「釣り小屋」のボートとシートの間



・142 153
場所:LZロメオ1の北、「古い道具小屋」の敷地にあるピックアップトラックの下 ※画像はラマン陣営のためLZロメオ1は表示無しです



・140 154
場所:LZロメオ1の北西、「人里離れた避難所」の脇にある岩と一輪車の間、大きさは2×6マス ※画像はラマン陣営のためLZロメオ1は表示無しです



ハンターズ・パラダイス
【20ヵ所】
・161 167
場所:ハンパラの「モーテル」の外周で、二棟のちょうど角のシートと一輪車の間



・159 165
場所:ハンパラに続く道の途中の「まき小屋」の裏のシートと一輪車の間



・163 163
場所:LZホテル3の北西、広い草原の端に積まれてる木材と一輪車の間



・159 158
場所:LZケベック3の西、池の南のほとりにある一輪車とパレットの間



・158 153
場所:LZケベック2の東、「湖畔農場」の湖の中にある小島のシート横



・158 153
場所:LZケベック2の東、「湖畔農場」のボートが掛けられている納屋の横のシート横



・153 159
場所:「バン・マラ」の北東、道沿いにある材木置場の横で死んでいる豚の横



・152 158
場所:「バン・マラ」の南西、道沿いの東にある小屋の中の軒下



・152 158
場所:「バン・マラ」の南西、道沿いの西にある材木置場の裏の一輪車の横



・153 156
場所:戦闘拠点パンサーの北東、田んぼの脇道沿いにある崩れた小屋とシートの間



・151 156
場所:戦闘拠点パンサーの北西、「ピエンダーオ展望台」の展望ベンチの前にある一輪車とシートの横



・158 152
場所:「LLAキャンプ・コーン」の北西、崖の際にある一輪車とシートの間



・159 150
場所:「LLAキャンプ・コーン」の南、谷になっているような地形の崖の方にある一輪車とシートの間



・152 151
場所:「カントリーハウス」の南西、田んぼの角にある木材の横のベンチとシートの間



・153 170
場所:LZフォックストロット2の北西、池の南の「釣り小屋」に立て掛けられているボートとシートの間



・148 167
場所:戦闘拠点ベアキャットの南西、畑の端にある壊れたリヤカーとシートの間



・152 166
場所:「バン・ランプー」の南、田んぼの角にある壊れた櫓と一輪車の間



・145 168
場所:LZチャーリー2の東、「インタヴォン農場」の建物下のシートとリヤカーの間、大きさは2×6マス ※画像はラマン陣営のためLZチャーリー2は表示無しです



・147 158
場所:LZチャーリー3の東、「廃道具小屋」の小屋の裏にある白いバケツの横、大きさは2×6マス ※画像はラマン陣営のためLZチャーリー3は表示無しです



ナリス要塞
【9ヵ所】
・141 130
場所:「地下武器庫」の上、フェンスが破れてて通れるあたりの一輪車とシートの間、大きさは5×9マス



・142 129
場所:「管制塔」と「地下武器庫」の間、木々の中の小道の脇の一輪車の下、大きさは5×9マス



・139 128
場所:「飛行場裏口」の北西、外周の角の乗り越えれるゲートを越えて木々の中の小道の脇の一輪車の下、大きさは5×9マス



・138 128
場所:外周の角の乗り越えれるゲートの西、木の中の小道の脇の一輪車の下



・146 126
場所:LZデルタ1の南西、小さな丘の中を通る小道の脇の一輪車とシートの間



・144 125
場所:ナリス要塞の滑走路の南、崩れた外周の塀のすぐ近くの一輪車とシートの間



・139 132
場所:LZデルタ3の北東、ナカサ村との中間あたりの森の中にある一輪車とシートの間



・148 131
場所:「フォンヒエン池」の脇にある小屋と一輪車の間



タイガーベイ
【13ヵ所】
・201 130
場所:「旧タイガー桟橋」の先端、二本のヤシの木の下のスコップの横、大きさは5×9マス



・199 130
場所:「市庁舎」の北西、コンビニがある区画の中央あたりの倉庫裏のスコップの下、大きさは5×9マス



・197 128
場所:セントラル西側にある木々や池の遊歩道、その道路側にある倉庫の壁画とシートの間、大きさは5×9マス



・197 132
場所:セントラル北側の「LAFチェックポイント」の西、青い建物の裏のブロック塀を乗り越えないと入れないスペースの庭角



・199 128
場所:セントラルの南東入口側の角のお店の裏で、壁の裏側のグラフィティの下



・197 131
場所:「旧区画」の西にある木々と建物間、壁際の小屋とシートの間



・196 129
場所:タイガーベイの西側の「倉庫」の、パレットが積まれているフェンスの角にあるシートの横



・199 133
場所:「UNLRAコンテナ居住区」西側のヨットクラブの大型倉庫2つの間にある雨水タンクの下



・201 128
場所:「電波塔」がある区画の、電波塔のすぐ横にある建物の裏のパレットとシートの横



・200 125
場所:LZジュリエット3の北西すぐの「郊外の農地」の角、シートと一輪車の横



・194 131
場所:戦闘拠点グラディウスの東で「取引用倉庫」の西、畑に出っ張った「農場」にある小屋の軒下



・191 136
場所:「タイガーベイ展望台」に行く山道のベンチがある角、大きな木と板の間



・191 138
場所:「タイガーベイ展望台」の北西すぐ、山道沿いにある壊れた櫓と一輪車の間



・202 133
場所:戦闘拠点ダイヤモンドと「UNLRA本部」との間、海沿いにある大きな岩の間のパレットとシートの間



・201 134
場所:「日本軍の壕」の真横のシートと岩の間



・205 124
場所:LZキロ3の北、突き出た半島の南にとても大きな岩があり、その岩とシートの間



ミッドナイト・サファイア
【8ヵ所】
・169 169
場所:「ホテル施設」の北側倉庫の裏にある一輪車とシートの間、大きさは5×9マス



・169 169
場所:「グラウンドキーパーズ・デポ」の東側倉庫の裏の一輪車の横、大きさは5×9マス



・175 169
場所:「テオア滝」の橋の東、狙撃ポイントとしても使う丘を登った所の裏にある壊れた櫓と一輪車の間、大きさは5×9マス



・168 165
場所:「従業員用住宅」の倉庫や小屋の裏手の壁の角、大きさは5×9マス



・175 162
場所:「ナムホウ村」の道路の北側にある建物の軒下で一輪車の横



・170 164
場所:ミッドナイトの大ホテルの南、段々畑の途中にある小屋と一輪車の間



・173 160
場所:LZゴルフ1の北西、「農場の家」と「ガソリンスタンド」の間の建物の車庫裏の一輪車の横



・165 159
場所:LZホテル3の南、田んぼの中の「古い小屋」のドラム缶と一輪車の間



コメント
最新を表示する
NG表示方式
NGID一覧